Siêu phẩm phạm văn đồng bán đất tặng nhà, ô tô đỗ cửa ngõ thông kinh doanh 33m2, 7.7 tỷ
09/12/251
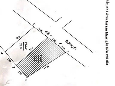
Giá: 7,7 tỷ
Diện tích: 33 m2
Địa chỉ: Đường Phạm Văn Đồng, Cổ Nhuế 2, Hà NộiXem bản đồ
Thông tin thêm
+ Nhà bán toạ lạc mặt ngõ đường Phạm Văn Đồng, cạnh Công viên Hoà Bình.+ Vị trí đẹp, cách mặt phố 20m. Ô tô đỗ cửa, ngõ thông kinh doanh.
+ Nhà 2 tầng dân xây còn rất chắc chắn. Diện tích 33m2, MT 3.8m. Khách mua ở tạm hoặc xây mới để ở hay cho thuê đều tuyệt vời.
+ Sổ đẹp, chính chủ - Sẵn sàng giao dịch
+ LH ngay: 0989162591 – Thien Bđs, Chuyên thổ cư Hà Nội.
Vị trí
- Mã tin: 34391144
Tăng lượt xem cho tin
* Giá chỉ từ 15.000đ
Hướng dẫn giao dịch an toàn
- Không thanh toán tiền trước khi nhận hàng
- Kiểm tra hàng cẩn thận trước khi mua
- Giao dịch ở nơi công cộng

Siêu phẩm phân lô đức diễn thang máy ô tô vào nhà dt:45m2x6t,mt 5m,8,7ty
11/12 1Đường Phú Diễn, Phú Diễn, Hà Nội
Siêu phẩm phân lô đức diễn thang máy ô tô vào nhà dt:45m2x6t,mt 5m,8,7ty
11/12 1Đường Phú Diễn, Phú Diễn, Hà Nội

Siêu phẩm phân lô đức diễn thang máy ô tô vào nhà dt:45m2x6t,mt 5m,8,7ty
11/12 1Đường Phú Diễn, Phú Diễn, Hà Nội

Cần bán gấp nhà dòng tiền cao phố nhật tảo 120m2, 7t, 35p khép kín...
11/12 34Q.Bắc Từ Liêm, Hà Nội

Cần bán nhà cấp 4 tai số 24, ngõ 201 đường thụy phường, hà nội...
11/12 17Cần bán nhà cấp 4 tai số 24, ngõ 201 đường Thụy Phường, Hà Nội, Q.Bắc Từ Liêm, Hà Nội

Siêu phẩm dòng tiền phố xuân đỉnh 90m 7t mt 5m ngõ trước...
11/12 1Đường Xuân Đỉnh, Xuân Đỉnh, Hà Nội

Siêu phẩm dòng tiền phố xuân đỉnh 90m 7t mt 5m ngõ trước...
11/12 1Đường Xuân Đỉnh, Xuân Đỉnh, Hà Nội

Siêu phẩm phạm văn đồng bán đất tặng nhà, ô tô đỗ cửa...
09/12 1Đường Phạm Văn Đồng, Cổ Nhuế 2, Hà Nội

Nhà mặt phố ô tô tránh, mới xây xong, kinh doanh sầm uất, tiềm năng...
09/12 1Đường Cầu Diễn, Phú Diễn, Hà Nội

Cực hiếm chính chủ cần bán nhà phố trần cung cổ nhuế diện tích 37m...
09/12 1Đường Cổ Nhuế, Cổ Nhuế 1, Hà Nội
Các chuyên mục khác



