Chính chủ cần bán gấp btsl4-13 khu đô thị tân tây đô - đan phượng - hà nội
08/07/238
Giá: 10,8 tỷ
Diện tích: 175 m2
Địa chỉ: Đường Quốc lộ 32, Phùng, TP.Hà NộiXem bản đồ
Thông tin thêm
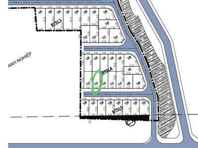
wp:headingChính Chủ cần bán gấp BTSL4-13 Khu đô thị Tân Tây Đô - Đan Phượng - Hà Nội
/wp:heading wp:paragraph✅ Diện tích : 175m2 (MT 9m, đường trước nhà 13m)
/wp:paragraph wp:paragraph✅ Vị trí đẹp, giao thông thuận tiện, dân cư thân thiện.
/wp:paragraph wp:paragraph✅ Pháp lý sổ đỏ chính chủ
/wp:paragraph wp:paragraph✅ Nhà :hướng Nam thoáng mát
/wp:paragraph wp:paragraph✅ Tiện ích xung quanh đầy đủ .
/wp:paragraph wp:paragraph✅ Nhà không lỗi phong thuỷ,không gian thoáng mát, sạch sẽ, thuận tiện về mọi mặt…
/wp:paragraph wp:paragraph✅ Thuộc vị trí đắc địa phù hợp nhu cầu mua để ở lâu dài hoặc kinh doanh buôn bán sinh lời rất cao.
/wp:paragraph wp:paragraph✅ Giá bán : 62tr/m2
/wp:paragraph wp:heading☎ Liên hệ: 0903484494 ( Mr Hiếu )
/wp:heading wp:paragraphvị trí :https://www.google.com/maps?q=21.0723383,105.7047381&hl=vi-VN&gl=vn&entry=gps&lucs=,47071704&g_ep=CAISBjYuNzMuMhgAINeCAyoJLDQ3MDcxNzA0QgJWTg%3D%3D&g_st=iz
/wp:paragraphVị trí
- Mã tin: 33307338
Tăng lượt xem cho tin
* Giá chỉ từ 15.000đ
Hướng dẫn giao dịch an toàn
- Không thanh toán tiền trước khi nhận hàng
- Kiểm tra hàng cẩn thận trước khi mua
- Giao dịch ở nơi công cộng

Ra hàng f0 rẻ nhất đan phượng 52m lô góc 2 thoáng ...
27/12 1Đường Tỉnh lộ 417, Phương Đình, Hà Nội

Bán 34m đất hồng hà, đan phượng, oto thông tứ tung, gần vành đai 4,...
26/12 1Đường N1, Hồng Hà, Hà Nội

144m đất phương đình đan phượng nay là liên minh...
22/12 2Đường Tỉnh lộ 417, Phương Đình, Hà Nội

Hàng f0 rẻ nhất đan phượng 50m giá 5x triệu/m2
20/12 2Đường Tỉnh lộ 417, Đan Phượng, Hà Nội

42m đồng tháp, đan phượng, oto thông tứ tung, lô góc 2 thoáng, chỉ hơn...
17/12 4Đường 32, Đồng Tháp, Hà Nội

Cần bán 40,5m la thạch, đan phượng,giá chỉ 2.x tỷ.
16/12 4Đường Tỉnh lộ 417, Phương Đình, Hà Nội
Các chuyên mục khác





