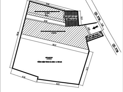
Sang nhượng đất 35.000m2 mặt tiền dài 40m và 12.000m2 mặt tiền dài 24m tại yên lương, ý yên,
22/10/240
Diện tích: 35000 m2
Địa chỉ: Đường Quốc Lộ 37B, Yên Lương, Ý YênXem bản đồ
Thông tin thêm
!! SANG NHƯỢNG ĐẤT 35.000m2 (Mặt tiền dài 40m) VÀ 12.000m2 (Mặt tiền dài 24m) TẠI YÊN LƯƠNG, Ý YÊN, NAM ĐỊNH
* Vị trí đẹp mặt tiền QL 37B => Cách thị trấn Gôi 2km.
* Đất dịch vụ thương mại 50 năm đã trả tiền 1 lần
* Đường Thông các ngả, giao thông đi lại thuận tiện, Xe Công tránh nhau.
* Thích hợp đầu tư mở nhà hàng , khách sạn, nhà máy, xí nghiệp, công ty sản xuất….
* Khu đông dân cư, an ninh tốt.
* Bán 8m thổ cư mặt đường QL 37b
* Bán 4 lô thổ cư. 20m ra đường Ql37b
* Pháp lý rõ ràng, đầy đủ=> Đất tên chính chủ tư nhân.
- Giá bán: Thỏa Thuận
- LIÊN HỆ TRỰC TIẾP CHÍNH CHỦ: 0945042204 ( Call/ Zalo ).
Vị trí
- Mã tin: 33943446
Tăng lượt xem cho tin
* Giá chỉ từ 15.000đ
Hướng dẫn giao dịch an toàn
- Không thanh toán tiền trước khi nhận hàng
- Kiểm tra hàng cẩn thận trước khi mua
- Giao dịch ở nơi công cộng

Tôi chính chủ cần bán lô mặt đường vũ hữu lợi phường nam vân,...
12/01 4Đường Vũ Hữu Lợi, Nam Vân, Nam Định

Chính chủ cần tài chính xử lý công việc bán gấp đất lô góc mặt...
08/01 2Đường 490, Nam Điền, Nam Định

Chính chủ bán lô đất đẹp gía tốt vị trí đẹp...
05/01 10Đường Quốc Lộ 37B, Quất Lâm, Nam Định

Cần bán trang trại pháp lý rõ ràng giá tốt tại...
31/12 7Đường xóm Xuân Châu, Giao Xuân, Nam Định

Chỉ hơn10 triệu/m2 chính chủ đất sát vsip hải long 210m2 mặt tiền 6m
24/12 4Đường 56, Giao Long, Nam Định

Chỉ hơn10 triệu/m2 chính chủ đất sát vsip hải long 210m2 mặt tiền 6m
24/12 3Đường 56, Giao Long, Nam Định
Các chuyên mục khác







