Bán đất khu công nghiệp KCN BECAMEX, BP 310.000m
05/02/264
Diện tích: 310000 m2
Địa chỉ: Đồng NaiXem bản đồ
Thông tin thêm
BÁN ĐẤT KHU CÔNG NGHIỆP – KCN BECAMEX, BP – 310.000m²
Thông tin chi tiết
Vị trí: Khu Công Nghiệp Becamex, Tỉnh Bình Phước
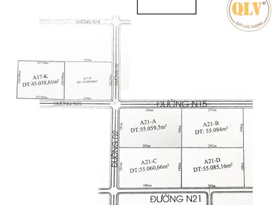
Tổng quỹ đất gồm 6 lô liên kế, tổng diện tích hơn 310.000m²
Lô 1: 45.038m²
Lô 2: 45.004m²
Lô 3: 55.059m²
Lô 4: 55.084m²
Lô 5: 55.060m²
Lô 6: 55.085m²
Thời hạn sử dụng đất đến năm 2063
Tiện ích & đặc điểm
Hạ tầng đồng bộ, hệ thống giao thông nội khu rộng rãi
Điện, nước, viễn thông hoàn thiện theo tiêu chuẩn KCN Becamex
Khu vực tập trung nhiều doanh nghiệp lớn, thuận tiện kết nối logistic
Vị trí thuận lợi
Nằm trong KCN Becamex Bình Phước – khu công nghiệp trọng điểm phía Bắc Bình Dương, kết nối trực tiếp với Quốc lộ 13, cao tốc Chơn Thành – Đức Hòa, thuận tiện di chuyển đến TP Hồ Chí Minh, Bình Dương và Tây Ninh
Liên hệ
CÔNG TY TNHH MTV QUÝ LỘC VƯỢNG
Hotline: 0931 769 444
Website: https://nhaxuongchinhchu.vn
Vị trí
- Mã tin: 34437581
Tăng lượt xem cho tin
* Giá chỉ từ 15.000đ
Hướng dẫn giao dịch an toàn
- Không thanh toán tiền trước khi nhận hàng
- Kiểm tra hàng cẩn thận trước khi mua
- Giao dịch ở nơi công cộng
Hot hot hot đất đẹp giá rẻ đât tư sinh lời cao đồng phú...
26/02 1461TP HCM

Giá tốt chính chủ cần bán gấp lô đất vị trí tại ...
26/02 1Đường Ấp Thanh Thủy, Thanh Bình, Bình Phước

Cơ hội vàng đầu tư đất thổ cư 150m2 tại phường an lộc bình phước...
09/02 4Đường 13, An Lộc, Bình Phước

Bán đất khu công nghiệp kcn becamex, bp 310.000m
05/02 4Đồng Nai

đi nước ngoài, cần bán đất
29/01 4Đất thổ cư Bình Phước

Bán đất khu công nghiệp tân tiến đồng nai 250tr,iêu
29/01 7Đường DT 741, TÂN TIẾN, Bình Phước

Bán đất phường hưng long giá 568 triệu, 140m2, gần trường học liền kề cụm...
23/01 20Phường Hưng Long
Các chuyên mục khác







