Bán đất KCN BECAMEX, BP 310.000m
23/01/264
Diện tích: 310000 m2
Địa chỉ: Bình PhướcXem bản đồ
Thông tin thêm
BÁN ĐẤT KHU CÔNG NGHIỆP – KCN BECAMEX, BP – 310.000m²
Thông tin chi tiết
Vị trí: Khu Công Nghiệp Becamex, Tỉnh Bình Phước
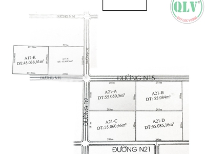
Tổng quỹ đất gồm 6 lô liên kế, tổng diện tích hơn 310.000m²
Lô 1: 45.038m²
Lô 2: 45.004m²
Lô 3: 55.059m²
Lô 4: 55.084m²
Lô 5: 55.060m²
Lô 6: 55.085m²
Thời hạn sử dụng đất đến năm 2063
Tiện ích & đặc điểm
Hạ tầng đồng bộ, hệ thống giao thông nội khu rộng rãi
Điện, nước, viễn thông hoàn thiện theo tiêu chuẩn KCN Becamex
Khu vực tập trung nhiều doanh nghiệp lớn, thuận tiện kết nối logistic
Vị trí thuận lợi
Nằm trong KCN Becamex Bình Phước – khu công nghiệp trọng điểm phía Bắc Bình Dương, kết nối trực tiếp với Quốc lộ 13, cao tốc Chơn Thành – Đức Hòa, thuận tiện di chuyển đến TP Hồ Chí Minh, Bình Dương và Tây Ninh
Liên hệ
CÔNG TY TNHH MTV QUÝ LỘC VƯỢNG
Hotline: 0931 769 444
Website: https://nhaxuongchinhchu.vn
- Mã tin: 34408359
Tăng lượt xem cho tin
* Giá chỉ từ 15.000đ
Hướng dẫn giao dịch an toàn
- Không thanh toán tiền trước khi nhận hàng
- Kiểm tra hàng cẩn thận trước khi mua
- Giao dịch ở nơi công cộng

Cho thuê nhà xưởng kcn đồng xoài, bình phước 8.279m
11/03 1Bình Phước

Cho thuê nhà xưởng kcn minh hưng, chơn thành, bp 39.154m...
07/03 9Bình Phước

Cho thuê nhà xưởng ccn tiến hưng, đồng xoài, bình phước 18.936m
06/03 3Bình Phước

Cho thuê nhà xưởng kcn becamex chơn thành, bình phước 38.837m2
05/03 2Bình Phước

Cho thuê nhà xưởng khu công nghiệp đồng phú 22.525m
05/03 6Bình Phước

Cho thuê đất nhà xưởng hớn quản, bình phước 5.000m
04/03 5Bình Phước

Cho thuê nhà xưởng đồng phú, bình phước 10.000m
02/03 5Bình Phước

Cho thuê nhà xưởng kcn bắc đồng phú 17.409m
27/02 5Bình Phước

Cho thuê nhà xưởng đồng phú, bp 10.000m
13/02 4Bình Phước

Cho thuê nhà xưởng kcn minh hưng sikiko 56.077m2
07/02 8Bình Phước




